Działka na sprzedaż Zielona Góra, Nowy Kisielin

3200.00 m²
218,44 zł/m2
SNP-GS-17
Oblicz ratę kredytu

699 000 zł

Działka na sprzedaż
Oferta specjalna

Szczegóły oferty

Symbol oferty SNP-GS-17
Powierzchnia 3 200,00 m²
Pomieszczenia

Opis nieruchomości

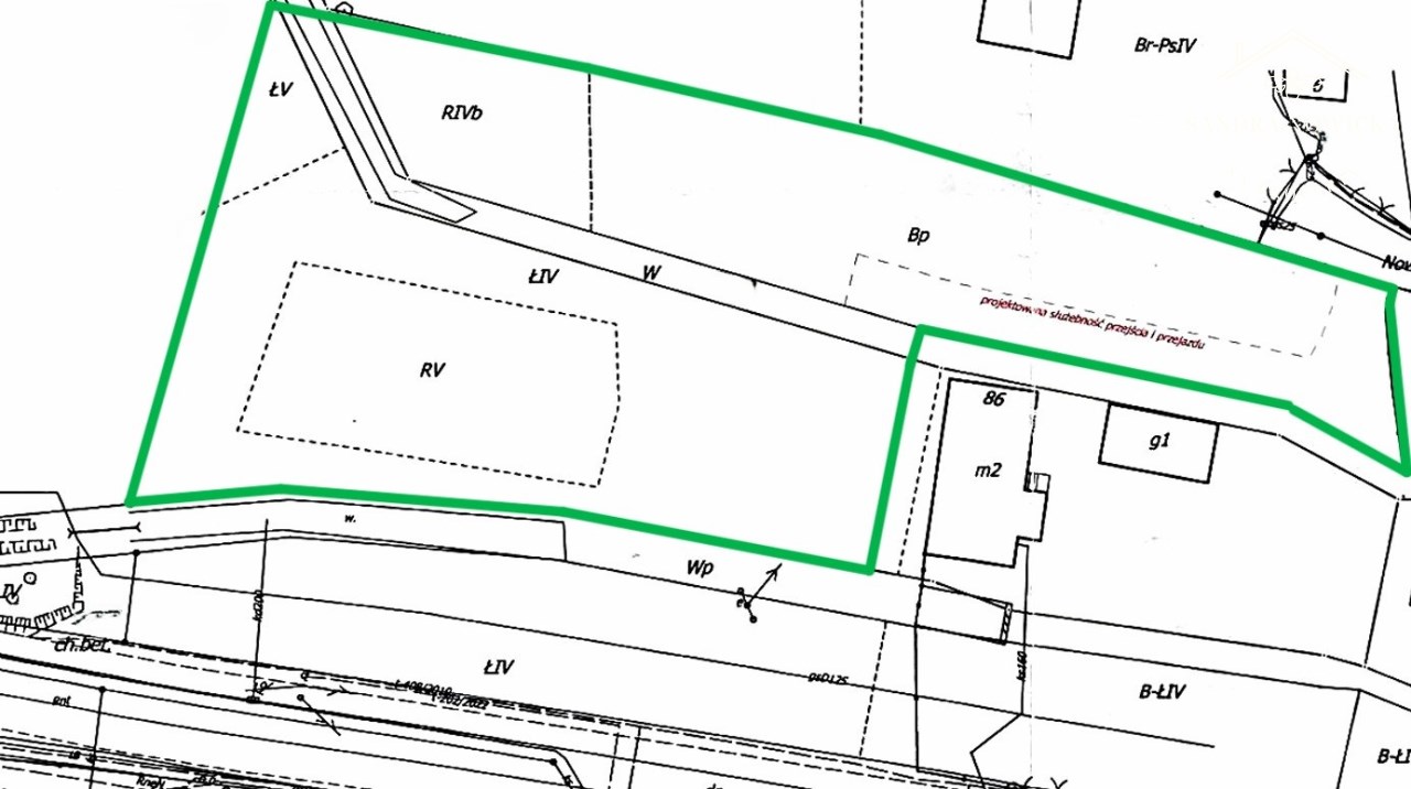
Działka na sprzedaż – Zielona Góra, Nowe Miasto, Nowy Kisielin

Biuro nieruchomości SN Property oferuje na sprzedaż atrakcyjna nieruchomość składająca się z dwóch przylegających do siebie działek o łącznej powierzchni 32 arów.

Lokalizacja:

  • Działka położona jest w dzielnicy Nowe Miasto – Nowy Kisielin w Zielonej Górze, bezpośrednio przy głównej ulicy.
  • Bardzo dobra komunikacja i szybki dojazd do centrum miasta sprawiają, że jest to świetne miejsce zarówno pod inwestycję, jak i zabudowę prywatną.

Atuty działki:
  • na jedną z działek wydane zostały już warunki zabudowy, co przyspiesza i ułatwia proces inwestycyjny,
  • teren porośnięty trawą i drzewami owocowymi, tworzący naturalny, zielony klimat,
  • przez działkę przepływa urokliwy strumyk (rów), który nadaje wyjątkowego charakteru i stwarza dodatkowe możliwości aranżacji przestrzeni (np. ogród, miejsce rekreacji),
  • duża powierzchnia – 32 ary umożliwia swobodną zabudowę i szerokie wykorzystanie terenu.

Idealne przeznaczenie:
działka dla siebie – z możliwością stworzenia wyjątkowej przestrzeni z rekreacja.
 

Oferta na wyłączność w biurze SN Property

Sandra Nowicka
tel. 661 425 641


 

Powyższe ogłoszenie nie stanowi oferty handlowej w rozumieniu art. 66 1 kodeksu cywilnego oraz innych właściwych przepisów. Zamieszczone na stronie zdjęcia oraz opisy są jedynie zaproszeniem do składania ofert w rozumieniu art. 71 Kodeksu cywilnego.

Kalkulatory

Kalkulator kredytowy

Wysokość raty

PLN
%

Kalkulator kosztów

Podatek od czynności cywilno-prawnych

Taksa notarialna
(opłata notarialna)

Wniosek o wpis do KW

VAT od prowizji
agencji nieruchomości

VAT od taksy notarialnej
(opłaty notarialnej)

Prowizja agencji nieruchomości

Wypisy aktu notarialnego

Razem

Uwaga: mogą wystąpić dodatkowe opłaty za założenie księgi wieczystej oraz ustanowienie hipoteki.

PLN
PLN
PLN
PLN
PLN
PLN
%
PLN

Manager

Proszę wprowadzić poprawne imię i nazwisko
Proszę wprowadzić poprawny numer telefonu
Proszę wprowadzić poprawny adres e-mail
Proszę zaznaczyć wymagane zgody
Rozwiąż równanie:
27 7
Niepoprawny wynik